
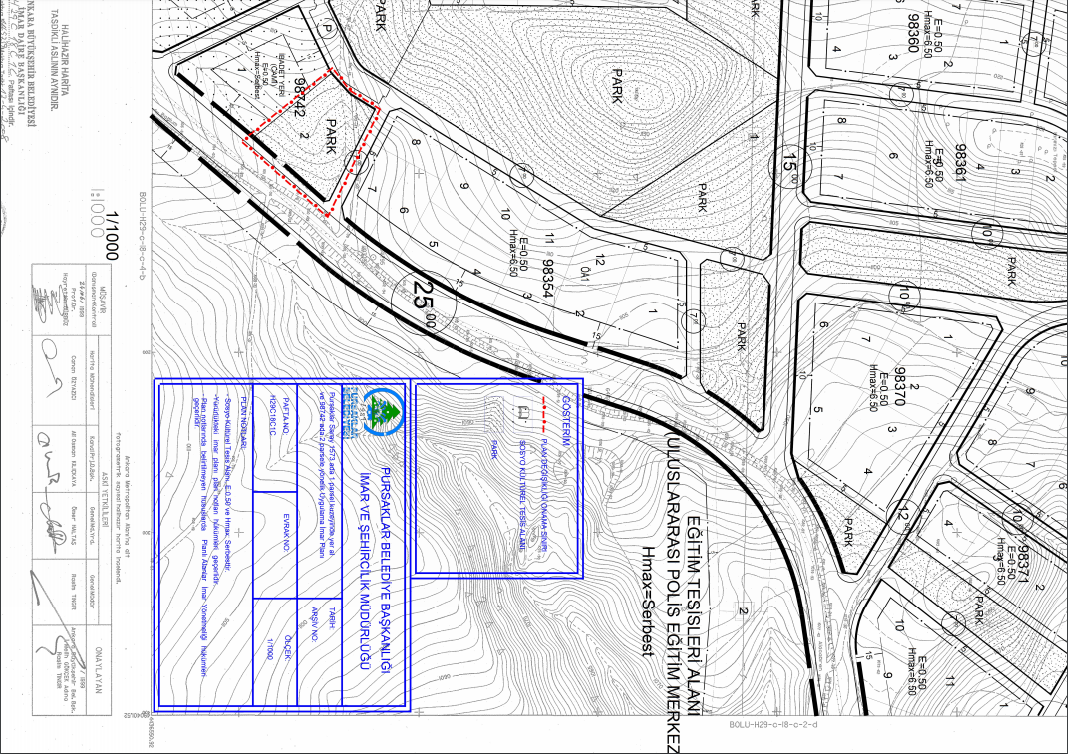
Ankara Pursaklar Belediyesi Yeni İmar Planı Askıya Çıktı
Pursaklar Belediyesi park alanının ağaçlandırılacak alana dönüştürülmesine yönelik imar değişikliğini Resmi Gazete’de yayımlandı. Pursaklar Saray 1573 ada 1 ve 98742 ada 2 sayılı parsellere yönelik 1/1000 Ölçekli Uygulama imar Planı Değişikliği, 3194 sayılı İmar Kanununun 8/b maddesi ve Mekansal Planlar Yapım Yönetmeliğinin 33. maddesi gereği, 07.10.2018 tarihine kadar sürecek askıda kalma süreci başlamış olup; Belediyemiz İlan Panosunda 30 gün süreyle askıya çıkarılmıştır.
Pursaklar Belediye Başkanlığı İmar ve Şehircilik Müdürlüğünden yapılan açıklamaya göre imar planı değişikliği yapılacak yerin yeni imar planı yazımız ekinde sunulmuştur.


